城ヶ崎釣り(2011年11月13日)

城ヶ崎磯釣り

城ヶ崎海岸で、2011年11月13日
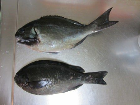
本日の釣果−メジナ2(匹)

【釣りと釣り場り】

伊豆大島 伊豆諸島 雲 メジナ メジナ刺身と焼き切り


【朝食他】

アジ干物 アジ干物

2011年11月13日(日曜日) 晴れ
メジナ(グレ)が口太から尾長に移行しつつあります。海水が冷たくなり魚の活性が下がったせいかあまり釣れませんでした。 M先生は二日酔いを押しての釣り、N見さんは明日入院の身で心配です。

●本日の釣果
メジナ(眼仁奈、グレ) 

■関連ページ
城ヶ崎釣り(2011年11月13日)  ▼城ヶ崎釣り(2011年11月12日)  釣りカレンダー2011  釣りカレンダー  魚図鑑  食べ物図鑑  Sky図鑑  城ヶ崎マップ  memo  城ヶ崎海岸の花−【春】  【夏】  【秋】  【冬】 


釣果1
釣果-メジナ2(匹)